It’s been a year since sales began for the Island Tower at Disney’s Polynesian Villas & Bungalows. With its latest filing, Disney has now declared almost half of its vacation homes for the Disney Vacation Club inventory.
On October 14, 2025, Disney declared 23 vacation homes for the timeshare inventory at the Polynesian’s new Island Tower. This latest declaration increases the number of vacation homes that DVC members can book using points from 84 to 107. There are still 115 vacation homes at Island Tower that have not yet been declared and are still under the control of Disney.
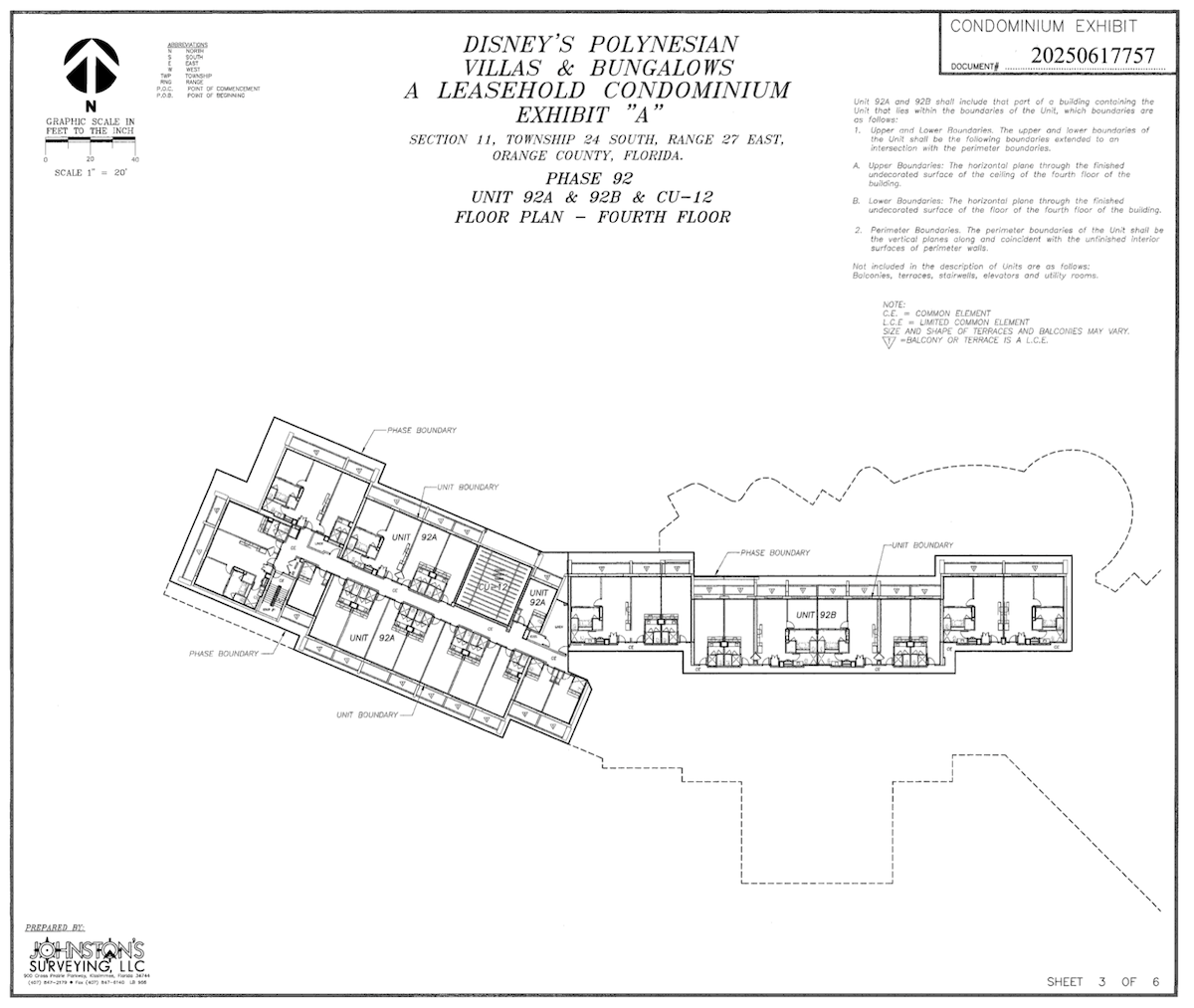
The 23 newly declared vacation homes are located on the fourth floor in the central and north end of the Tower building, the side closest to the Disney's Grand Floridian Resort & Spa. Included in this declaration are two residential units numbered 92A and 92B. Unit 92A has 15 vacation homes while unit 92B has 8 vacation homes. Combined, the two units add 4 Duo Studios, 11 Tower Studios, 2 dedicated One-Bedroom villas, 5 Lockoff Two-Bedroom villas, and 1 dedicated Two-Bedroom villa.
In terms of Disney Vacation Club points, Unit 92A has 191,966 DVC points allotted to it, while unit 92B has 156,111 points for a combined total of 348,077 DVC points. This is the largest declaration made for Island Tower since its initial declaration on July 31, 2024. This latest declaration brings the number of declared points at the Island Tower to 1,751,673 points, which is 48.5% of the building's 3,608,934 estimated total points.

The breakout of all declared vacation homes by accommodation type is as follows:
- 21 of 39 Duo Studios
- 40 of 91 Tower Studios
- 14 of 26 Dedicated One-Bedroom Villas
- 27 of 46 Lockoff Two-Bedroom Villas
- 3 of 16 Dedicated Two-Bedroom Villas
- 2 of 4 Two-Bedroom Deluxe Villas
The 115 vacation homes not yet declared are under the control of Disney. It can use those accommodations as cash reservations, for marketing purposes, or any other reason Disney chooses.
Although the legally-declared rooms are located on the building's fourth floor, incoming guests can be assigned any matching accommodation type on any floor of the building.
Wil Lovato is a contributor to DVCNews.com and has been a Disney Vacation Club owner since 2009. His DVC Home Resorts include Copper Creek Villas, Bay Lake Tower, Animal Kingdom Villas, and Aulani. He can be found posting on many Disney discussion forums under the username of “wdrl.”
